台灣鐵路節126歲啦~
一透早全家四口來台鐵搭火車不是去旅行,
而是來歡慶台鐵126周年 生日快樂!!
台鐵慶祝生日的方式很特別..
不是吹蠟燭,而是清淨家園+生態導覽~
全程免費..還送餐盒~
喔!!YA!! 咧思夠!!
戴上大頭偶的..是我家HANK爸唷~
在等後集合的時刻,借來拍拍的!!

首先..先到新左營站的前站,清淨家園
辦活動..都要繳交照片
所以~先來張大合照!!
清淨家園

說真的..很乾淨,很努力地才掃幾張屑屑!!
看到竹掃把的Ariel,忍不住技癢~

來坐火車囉!!
因為要來企洲仔濕地生態導覽
所以!!意思意思一下…

從新左營站免費搭到左營站~

步行至洲仔濕地~
這裡也是我們常騎腳踏車的路線之一~

還要在翠華橋上宣導
"珍惜生命"~

洲仔濕地

參加的人數還滿多的,分2隊人馬導覽
我們的導覽老師

雀榕

南美假櫻桃

老師說..道路2旁為何要放置枯木??!!
這些枯木..是很多生物的家及食物喔~
波羅蜜

葉子上常見的泡沫,好像有人吐口水般
正解:這些泡沫是沫蟬所分泌的~

葉子背後..白白的小點點..
是蝴蝶的卵喔~

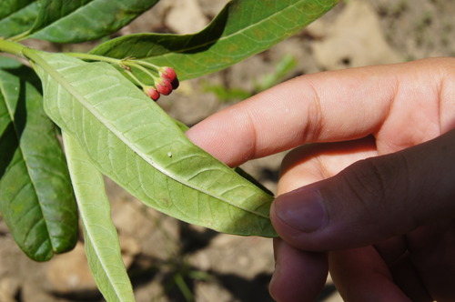
這個..紅紅的小點點
是紅紋鳳蝶的卵~
白白的..一顆一顆的,是白飯花兒!!

洲仔濕地的生態池
經 中華 民國濕地保護聯盟向高市府工務局爭取認養經營,在此進行「水雉返鄉計畫」,使用生態工法復育以浮葉植物為主埤塘濕地生態系,藉溼地發展出多樣化的水生動植 物如水雉喜愛的菱角、印度莕菜、睡蓮等;還有其他水生昆蟲、螺貝類、魚類、兩棲爬蟲類等等,孕育出專為自然生物量身打造的合適環境,現在這裡看得到水雉了喔!!
洲仔濕地
開放時間:上午09:00-12:00 下午14:00-17:00
休 園:每週一及國定假日
假日開放:每個月前3個星期日園區開放(導覽解說)
平日開放:星期二-六(開放部分場域空間)
預約導覽:星期二-五(請於1週前線上預約)

結束與台鐵歡度另類的126周年
依照原路坐火車回去!!

我們搭火車回去
HANK飛奔至彩虹市集,做他的鋼彈趣
一丁點也不給他浪費時間唷!!


















近期留言